High resolution in situ mapping of microstrain and microstructure evolution reveals damage resistance criteria in dual phase steels
Microstructures of multi-phase alloys undergo morphological and crystallographic changes upon deformation, corresponding to the associated microstructural strain fields. The multiple length and time scales involved therein create immense complexity, especially when microstructural damage mechanisms are also activated. An understanding of the relationship between microstructure and damage initiation can often not be achieved by post-mortem microstructural characterization alone. Here, we present a novel multi-probe analysis approach.
It couples various scanning electron microscopy methods to microscopic-digital image correlation (l-DIC), to overcome various challenges associated with concurrent mapping of the deforming microstructure along with the associated microstrain fields. For this purpose a contrast- and resolution-optimized l-DIC patterning method and a selective pattern/microstructure imaging strategy were developed. They jointly enable imaging of (i) microstructure-independent pattern maps and (ii) pattern-independent microstructure maps. We apply this approach here to the study of damage nucleation in ferrite/martensite dual-phase (DP) steel. The analyses provide four specific design guidelines for developing damage-resistant DP steels.

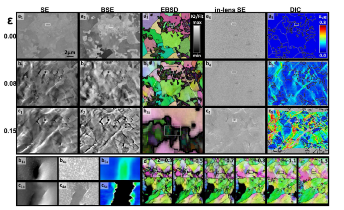
Fig: Results of the coupled strain and microstructure mapping methodology applied to DP steel at (a) 0, (b) 0.08 and (c) 0.15 tensile strain. Corresponding SE, BSE, EBSD ÿ IPF + IQ + Boundary, in-lens SE and DIC images are shown respectively in column 1–5. SE, in-lens SE and DIC images corresponding to a damage incident (from the area marked by the white box in all sub-figures) are shown in (b, c) Results of the post-mortem serial sectioning showing the microstructure underneath in terms of EBSD IPF + Fit maps are given in (d), where the through-thickness position Z is given in um.